| | |||||||
| عاجل | |||||||
| ACTUALITÉS | |||||||
| عاجل : إنهاء مهام رئيس جامعة قفصة عماد البسدوري - Tuniscope يذكر أن البسدوري شغل منصب رئيس جامعة قفصة منذ عدة سنوات، وقد ساهم خلال فترة توليه في تطوير بعض البرامج الأكاديمية والمشاريع البحثية بالجامعة.
| |||||||
Benjamin Netanyahou ordonne de nouvelles frappes sur la bande de Gaza - YouTube Go to channel. منعرج حاسم في غزة.. القسام تعلن عن تطورات جديدة وحركة حماس ترد على تهديدات نتنياهو في بيان عاجل. العربي - أخبار New 123K views · 28:28.
| |||||||
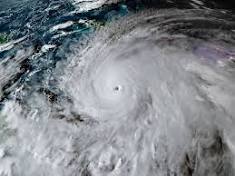
Melissa: Le méga ouragan frappe Cuba avec des vents de 195 km/h - Blick L'ouragan Melissa a frappé la Jamaïque avec des vents violents et des pluies torrentielles, provoquant coupures d'électricité, inondations et ...
| |||||||
| عاجل: 18 قتيلاً في غرق مركب مهاجرين قبالة ليبيا - Tuniscope قضى 18 شخصا في انقلاب مركب خشبي كان يحمل عشرات المهاجرين قبالة سواحل ليبيا اليوم الثلاثاء، فيما أنقذ 64 شخصا، وفق ما أعلنت المنظمة الدولية للهجرة.
| |||||||
| Vous avez reçu cet e-mail, car vous êtes abonné à Google Alertes. |
Recevoir cette alerte en tant que flux RSS |
| Envoyer des commentaires |
Aucun commentaire:
Enregistrer un commentaire